عن المشروع
للتبرع - donate
العلم في هذا الشهر
مشروع التطور بالعربية
انضم إلينا
Home
About
Services
Projects
Pages
Blog
Contact
وجوه البشر المولدة باستخدام الذكاء الاصطناعي تخدع معظم البشر.. لكن تدريبًا قصيرًا قد يمكنك من كشفها
31 يناير، 2026
•
243 مشاهدة
•
0 اعجاب
ثورة في التصوير: مستشعر جديد يكسر الحاجز البصري الكلاسيكي
2 فبراير، 2026
•
54 مشاهدة
•
0 اعجاب
فلتر مستوحى من فم الأسماك يزيل 99٪ من الجسيمات البلاستيكية الدقيقة من مياه الغسيل!
2 فبراير، 2026
•
50 مشاهدة
•
0 اعجاب
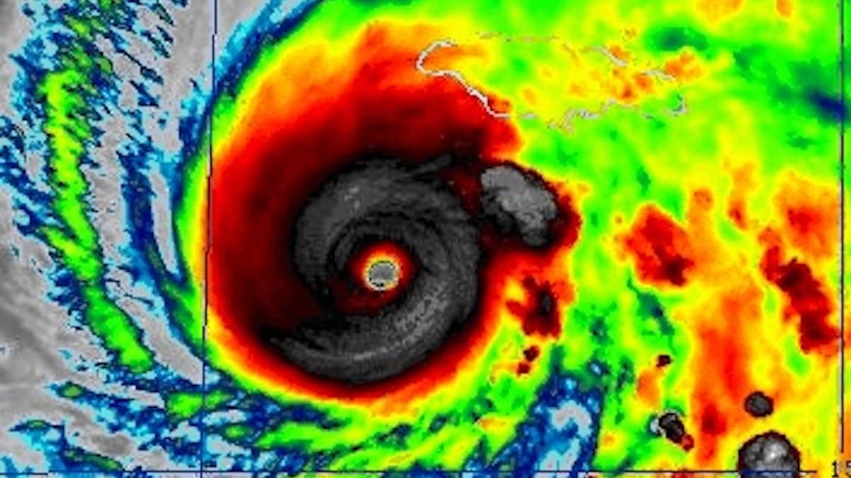
دراسة علمية تطالب بإضافة فئة سادسة لمقياس تصنيف الأعاصير بسبب تغير المناخ
2 فبراير، 2026
•
61 مشاهدة
•
0 اعجاب
دراسة علمية: الذكاء الاصطناعي لن يتفوق إبداعيًا على البشر مهما تطور!
2 فبراير، 2026
•
57 مشاهدة
•
0 اعجاب
كويكب يحطم الأرقام القياسية بدوران كاف لتمزيقه دون أن يتأثر.. فما السبب؟
2 فبراير، 2026
•
56 مشاهدة
•
0 اعجاب
علوم الفضاء
Previous
Next
1
2
3
4
5
6
7
8
طب وصحة
Previous
Next
1
2
3
4
5
6
7
8
تكنولوجيا المستقبل
Previous
Next
1
2
3
4
5
6
7
8
سايكولوجيا
Previous
Next
1
2
3
4
5
6
7
8